Oleiros contará con una nueva travesía para incorporarse a la AC-12 cerca del túnel del Sol y Mar
OLEIROS

Está presupuestada en 326.000 euros e incluirá zona de aparcamiento
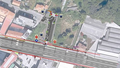
04 oct 2025 . Actualizado a las 05:00 h.La Demarcación de Carreteras del Estado en Galicia hizo público este viernes en el Boletín Oficial de la Provincia (BOP) el anuncio de la solicitud para la apertura de una nueva calle en la zona del Sol y Mar, en Perillo.
El ámbito objeto del proyecto está situado en los números 296 y 298 de la Avenida das Mariñas y la calle Revolta. La actuación consistirá en una explanación y pavimentación para crear un carril con el que será posible incorporarse a la AC-12 en el punto kilométrico 5,380. Todo ello irá en plataforma única para dar continuidad al tipo de calle existente en Revolta.
Se trata de un pequeño tramo en el que también se aprovechará para crear aceras en ambos laterales y también plazas de aparcamiento. En uno de ellos se disponen en batería, y en el otro, en línea para sumar en total más de 15 espacios.
En ambos extremos de la nueva calle se plantean pasos de peatones, uno en la Avenida das Mariñas y otro en la parte interna. En esta zona se prevé un área de estancia sobre una pequeña grada que se separará de la acera mediante vegetación. Habrá bancos, papeleras y, del otro lado de la calle, un área cerrada para contenedores. El proyecto también indica que se plantarán varios ejemplares de árboles.
El presupuesto total de ejecución de esta actuación asciende a 326.328,92 euros. La superficie total en metros cuadrados construidos es de 1.174,17 y se prevé un plazo de ejecución de las obras de 8 meses.